|
  |
Замер воздухопроницания |
|
|
|
|
14.3.2011, 6:12
|
инженер
Группа: Участники форума
Сообщений: 3813
Регистрация: 24.4.2005
Из: Красноярск
Пользователь №: 710

|
Цитата(tpa2009 @ 14.3.2011, 4:44)  Опять же повторюсь, для эксплуатируемого жилья
1) явные дефекты всем (кто живет в квартирах или сидит в кабинетах) давно известны, где дует, где стена холодная и т.д. Никаких испытаний для подтверждения этого проводить не надо. А проверять действующий дом на герметичность тоже смысла нет,
2) т.к. нормы требуют обеспечивать довольно сильную вентиляцию и с точки зрения энергосбережения этот показатель снизить нельзя. Поэтому смысла бороться за герметичность дома, если все равно будет проветривание, нет. Кроме, конечно, устранения дефектов, влияющих на комфорт помещений. Не понимаю вашу логику - вы не проводите и пытаетесь убедить себя и других, что не надо? 1. Откуда они известны, например в обычном особняке, особенно уже обставленном мебелью, в том числе встроенной? Хозяину известно только то, что у него расход топлива на 30% больше соседского. Большие перепады характерны для зимы - летом многие дефектов никак не проявляются. 2. Неорганизованная вентиляция и организованная - это совсем не одно и то-же. Уходя из пустой комнаты вы можете закрыть форточку, дефект работает всегда. Воздух по внутренним дефектам может поступать из подвала, с повышенным содержанием радона и т.п.
|
|
|
|
|
|
|
|
14.3.2011, 6:33
|
Группа: Участники форума
Сообщений: 1527
Регистрация: 5.1.2010
Из: Белгород
Пользователь №: 43680

|
Цитата(alem @ 14.3.2011, 6:12)  Не понимаю вашу логику - вы не проводите и пытаетесь убедить себя и других, что не надо? Логика проста - я пытаюсь понять, надо нам это делать или нет при обследовании организаций или многоквартирного жилья. Убеждаю только себя и никого более  . Да, кстати, а как радон, имеющий плотность почти 10 кг/м3, может поступать из подвала в помещение?
|
|
|
|
|
|
|
|
14.3.2011, 7:39
|
инженер
Группа: Участники форума
Сообщений: 3813
Регистрация: 24.4.2005
Из: Красноярск
Пользователь №: 710

|
Понял. Это вопрос философский - хотите ли вы повысить свою конкурентоспособность и т.п. Если да, то определённую часть средств вы должны вкладывать в развитие - как в глубину, совершенствуя имеющийся приборно-замерный парк, так и в ширь - Но это дело ваше...
Я считаю радоновую опасность преувеличенной, но замеры показывают относительно большую концентрацию на первых этажах, т.е. диффузия существует.
|
|
|
|
|
|
|
|
14.3.2011, 9:48
|
Группа: Участники форума
Сообщений: 353
Регистрация: 13.2.2011
Пользователь №: 94104

|
Цитата(alem @ 14.3.2011, 6:39)  Понял. Это вопрос философский - хотите ли вы повысить свою конкурентоспособность и т.п. Если да, то определённую часть средств вы должны вкладывать в развитие - как в глубину, совершенствуя имеющийся приборно-замерный парк, так и в ширь - Но это дело ваше...
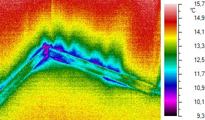
Я считаю радоновую опасность преувеличенной, но замеры показывают относительно большую концентрацию на первых этажах, т.е. диффузия существует. Alem, спасибо. Добавлю, что кроме диффузии на первых этажах есть ещё инфильтрация. Термограмму угла подвального перекрытия и внутренней стены прилагаю. Термограмма сделана при перепаде давления -50 Ра. Без перепада (-4 Ра) этот дефект отсутствует на тепловизоре.
Сообщение отредактировал irbest - 14.3.2011, 9:51
Эскизы прикрепленных изображений
|
|
|
|
|
|
|
|
14.3.2011, 10:16
|
Группа: Участники форума
Сообщений: 1527
Регистрация: 5.1.2010
Из: Белгород
Пользователь №: 43680

|
Цитата(alem @ 14.3.2011, 7:39)  Понял. Это вопрос философский - хотите ли вы повысить свою конкурентоспособность и т.п. Если да, то определённую часть средств вы должны вкладывать в развитие - как в глубину, совершенствуя имеющийся приборно-замерный парк, так и в ширь . Да в том то и дело, что не философский. Это деньги (немалые) и дополнительное время при обследовании. А тут специалист появился (irbest), говорит, что "вещь в хозяйстве термографиста и энергоаудитора крайне полезная." (меня скорее хозяйство второго интересует, а не первого). Вот и хотелось узнать, как это поможет повысить свою конкуретноспособность, раздаваться вглубь и вширь. Кроме того, давно интересует вопрос о замерах реальной инфильтрации. Поэтому я привел тут свои сомнения для конструктивного ответа и критики. Но пока только общие слова. Кстати, и gedeonу на конкретный вопрос никто не ответил. Цитата(alem @ 14.3.2011, 7:39)  Я считаю радоновую опасность преувеличенной, но замеры показывают относительно большую концентрацию на первых этажах, т.е. диффузия существует. М.б. он наоборот, сверху приходит? Выделяется из стройматериалов и концентрируется внизу?
|
|
|
|
|
|
|
|
14.3.2011, 10:23
|
Группа: Участники форума
Сообщений: 1527
Регистрация: 5.1.2010
Из: Белгород
Пользователь №: 43680

|
Цитата(irbest @ 14.3.2011, 9:48)  Без перепада (-4 Ра) этот дефект отсутствует на тепловизоре. М.б. не дефект отсутствует, а инфильтрации при нормальном перепаде давления просто нет?
|
|
|
|
|
|
|
|
14.3.2011, 10:32
|
Группа: Участники форума
Сообщений: 353
Регистрация: 13.2.2011
Пользователь №: 94104

|
Цитата(tpa2009 @ 14.3.2011, 9:23)  М.б. не дефект отсутствует, а инфильтрации при нормальном перепаде давления просто нет? дефект есть, но обнаружить его при нормальном давлении сложно или невозможно. В зависимости от условий поток при 4 Ра будет в 10 -20 раз меньше, чем при 50 Ра.
|
|
|
|
|
|
|
|
14.3.2011, 10:51
|
Группа: Участники форума
Сообщений: 353
Регистрация: 13.2.2011
Пользователь №: 94104

|
Цитата(gedeon @ 12.3.2011, 9:40)  Андрей? Есть вопрос: а каким образом этой мондулой воздухопроницаемость для жилого многоквартирного здания определять? И как потом разделить ВП стен, окон, перекрытий?  Алексей! Извини, пропустил твой вопрос. Спасибо tpa2009, что напомнил. В многоквартирном доме выбираются несколько квартир для измерения, расположенных в разных частях здания. Этой "мондулой", насколько знаю, у вас А.Ш. делает или делал измерения. Поэтому, вопрос больше к твоим коллегам - как делается и продаётся измерение воздухопроницаемости в многоквартирном доме? С марта вступила в силу новая редакция ГОСТа 31167-2009. Там как раз описана методика измерения объекта, имеющего внутренние стены, воздухопроницаемость которых нужно исключить. На самом деле, измерение воздухопроницаемости ограждающей конструкции квартир в многоквартирном доме намного сложнее, т.к. для этого потребуется одновременно несколько установок Blower Door. В некоторых странах просто к нормативу добавляют какой-то процент, учитывающий воздухопроницаемость внутренних конструкций, не влияющих на энергоэффективность. Андрей
|
|
|
|
|
|
|
|
14.3.2011, 11:30
|
Группа: Участники форума
Сообщений: 353
Регистрация: 13.2.2011
Пользователь №: 94104

|
Цитата(tpa2009 @ 14.3.2011, 9:16)  Да в том то и дело, что не философский. Это деньги (немалые) и дополнительное время при обследовании. А тут специалист появился (irbest), говорит, что "вещь в хозяйстве термографиста и энергоаудитора крайне полезная." (меня скорее хозяйство второго интересует, а не первого). Вот и хотелось узнать, как это поможет повысить свою конкуретноспособность, раздаваться вглубь и вширь. Кроме того, давно интересует вопрос о замерах реальной инфильтрации. Поэтому я привел тут свои сомнения для конструктивного ответа и критики. Но пока только общие слова. Кстати, и gedeonу на конкретный вопрос никто не ответил. Если давно интересует вопрос о замерах реальной инфильтрации, то рекомендую изучить метод трейсер-газа (Tracer Gas), но он значительно дороже и сложнее. Также можете измерять воздухопроницаемость непосредственно механической вентиляцией самого здания. Blower Door метод пока самый распространённый и эффективный, позволяющий не только получить цифру, но и обнаружить дефект.
|
|
|
|
|
|
|
|
14.3.2011, 12:02
|
Группа: Участники форума
Сообщений: 353
Регистрация: 13.2.2011
Пользователь №: 94104

|
Цитата(tpa2009 @ 14.3.2011, 3:44)  Я имел в виду вентиляцию чердака - при ее наличии влагопароизоляция не нужна. Или я не прав? Вы имеете ввиду пароизоляцию перекрытия между жилым помещением и холодным чердаком? Цитата(tpa2009 @ 14.3.2011, 3:44)  Что мне лучше, я сам знаю. Кроме того, кроме влажности есть еще СО2, например. Эстонцы могут сидеть в духоте, это их право, а я этого не люблю. Прочитайте ещё раз внимательно текст, на который почему-то Вы так агрессивно ответили. Поверьте - и я, и эстонцы с Вами согласны. Цитата(tpa2009 @ 14.3.2011, 3:44)  Кстати, интересный случай был. Выступал у нас немец по санации панельных домов. Говорит, сам живет в отсанированном доме. Душно. Так он регулярно открывает на несколько минут все окна для организации сквозняка. Говорит, что это ненадолго и перерасход энергии небольшой. Это я про западный опыт, там забавного довольно много. Этот же немец показывал тепловизонный снимок дома "до санации" и "после". До (красный снимок) снято зимой, а после (синий снимок) - летом. То ли за лохов русских держит, то ли сам специалист такой великий и не понимает, что понаснимал. Термограммы немца не видел - судить не могу, но Вам верю. Видел термограммы российских производителей жидкой керамической изоляции. Картина такая же. Тоже за лохов держат. А насчёт проветривания немец прав. В физике ( включая строительную) принцип "что русскому хорошо - то немцу (или эстонцу) смерть" не работает. Цитата(tpa2009 @ 14.3.2011, 3:44)  Ну это Вы в рекламе своего устройства слишком далеко зашли. Кстати, поясните, как нарушенная пароизоляция влияет на теплопотери - интересно, как Вы это понимаете? Хоть эту статью написали и немцы, но не поленитесь внимательно прочитать. Термограмму нарушенной пароизоляции прилагаю. Вот так и понимаю. Термограмма снята на холодном чердаке при перепаде давления +50 Ра. http://www.energohelp.net/articles/technol...phrase_id=27450Устройство (не моё, а шведское), уже лет десять рекламируется в ГОСТе 31167 и СНиПе. Жаль, что не рекламирует его стройнадзор и другие организации, карающие за несоответствующее нормативам строение.
Сообщение отредактировал irbest - 14.3.2011, 12:07
Эскизы прикрепленных изображений
|
|
|
|
|
|
|
|
14.3.2011, 13:23
|
Группа: Участники форума
Сообщений: 353
Регистрация: 13.2.2011
Пользователь №: 94104

|
Цитата(катаев @ 14.3.2011, 11:30)  Ваш ответ совсем не удачный. Хрущев стал руководить страной, когда доказал еще в 30-х годах свою состоятельность как руководителя в строительстве, в т.ч. и необходимость использования современного оборудования в жилищном стрительстве , а не "гнуть трубу на коленке" - это его цитата. Очень многим выгодно считать, что Хрущев строил только "хрущобы", он наладил производство и внедрение инженерного оборудования для жилищного строительства. Мое сообщение было не о тех, кто в качестве самой надежной пароизоляции использует металл, а о Ваших потугах доказать, что лабораторные исследования (отключи вентиляцию, устрани все неплотности, отключи термостаты и т.п.), далекие от реалий, могут принести пользу потребителям, большую, чем Вам как участнику выставки на стенде Е-90. Как и сравнение пароизоляции металла как материала и свойств дома с обшивкой из металла. Вы так и не ответили чем подтверждается ваше менеджеро-рекламное заявление, что есть страны, где запрещена приемка без ваших "исследований". Ваши ссылки на немецкие нормативы - это тоже просто вытаскивание части предложения из пособия рекламщика-стендиста. Катаев - не хамите, а читайте внимательнее и сдерживайте свои эмоции. Хотя, судя по вашей переписке с tpa2009, Auditor и другими участниками, это ваш способ общения на форуме.
|
|
|
|
|
|
|
|
14.3.2011, 15:20
|
Группа: Участники форума
Сообщений: 518
Регистрация: 29.4.2010
Из: Россия
Пользователь №: 54687

|
Если честно, то меня "швед" заинтересовал. Даже уже вижу, как реально можно с ним работать даже летом с тепловизором впаре. Как приобрести "сие чудо". Может наши есть аналоги? Или может у кого есть чертежи или наброски-поделитесь.
|
|
|
|
|
|
|
|
14.3.2011, 15:35
|
Группа: Участники форума
Сообщений: 353
Регистрация: 13.2.2011
Пользователь №: 94104

|
Цитата(zabexpert @ 14.3.2011, 14:20)  Если честно, то меня "швед" заинтересовал. Даже уже вижу, как реально можно с ним работать даже летом с тепловизором впаре. Как приобрести "сие чудо". Может наши есть аналоги? Или может у кого есть чертежи или наброски-поделитесь. Чертежи смотрите в ГОСТе 31167 (для ОчУмелых ручек  ). Но там каменный (деревянный) век несмотря на свежую редакцию - деревянная рама, ртутный термометр, аналоговый манометр, вычисления результата столбиком. Есть промышленные установки - они в приложенных статьях и на фотографиях. Напишу о них в личку.
|
|
|
|
|
|
|
|
14.3.2011, 17:12
|
Группа: Участники форума
Сообщений: 1527
Регистрация: 5.1.2010
Из: Белгород
Пользователь №: 43680

|
Цитата(irbest @ 14.3.2011, 12:02)  Прочитайте ещё раз внимательно текст, на который почему-то Вы так агрессивно ответили. Поверьте - и я, и эстонцы с Вами согласны. Знаете, я тоже с Вами и эстонцами согласен. Про агрессию я бы не стал так говорить, я в общем то миролюбивый. Просто это ответ от противного - Вы с менторским тоном пишите элементарные общеизвестные вещи, как будто в детском саду решили политинформацию провести. Вот и хочется чуть оживить дискуссию  . Цитата(irbest @ 14.3.2011, 12:02)  Термограммы немца не видел - судить не могу, но Вам верю. Пожалуйста, любуйтесьЦитата(irbest @ 14.3.2011, 12:02)  Хоть эту статью написали и немцы, но не поленитесь внимательно прочитать. Статья не очень информативная, скорее рекламная, я чуть глянул и уже в глаза бросилась пара нестыковок по цифрам. Но не поленюсь. Прочту. Но попозже. Кстати, ни у кого ГОСТ 31167-2009 нет? А то что-то найти не могу.
|
|
|
|
|
|
|
|
14.3.2011, 17:30
|
Группа: Участники форума
Сообщений: 288
Регистрация: 8.9.2010
Из: СПб
Пользователь №: 71253

|
|
|
|
|
|
|
|
|
14.3.2011, 17:56
|
Группа: Участники форума
Сообщений: 353
Регистрация: 13.2.2011
Пользователь №: 94104

|
Цитата(gedeon @ 14.3.2011, 16:30)  А ГОСТик-то старенький
|
|
|
|
|
|
|
|
14.3.2011, 18:01
|
Группа: Участники форума
Сообщений: 1527
Регистрация: 5.1.2010
Из: Белгород
Пользователь №: 43680

|
Цитата(gedeon @ 14.3.2011, 17:30)  Нате Не то. Это 2003 года. А сейчас, с 1 марта введен ГОСТ 2009 г. На сайте www.gost.ru информация об этом есть, а самого ГОСТ нет, везде только 2003 г.
|
|
|
|
|
|
|
|
14.3.2011, 18:36
|
Группа: Участники форума
Сообщений: 353
Регистрация: 13.2.2011
Пользователь №: 94104

|
Цитата(tpa2009 @ 14.3.2011, 17:01)  Не то. Это 2003 года. А сейчас, с 1 марта введен ГОСТ 2009 г. На сайте www.gost.ru информация об этом есть, а самого ГОСТ нет, везде только 2003 г. А у меня есть  Cтрана уже как две недели (исполняется сегодня) живёт по новому ГОСТу 31167-2009. С чем вас и поздравляю. Хотя хрен редьки не слаще. http://www.standards.ru/document/4576023.aspxПросьба отозваться всех, кто хоть раз в жизни по этому ГОСТу проводил измерение воздухопроницаемости (только честно). Будет интересно услышать впечатления и обсудить особенности измерения. Также можем сравнить с EN13829.
Сообщение отредактировал irbest - 14.3.2011, 18:39
|
|
|
|
|
|
|
|
14.3.2011, 20:41
|
Группа: Участники форума
Сообщений: 288
Регистрация: 8.9.2010
Из: СПб
Пользователь №: 71253

|
Цитата(irbest @ 14.3.2011, 18:36)  А у меня есть  Cтрана уже как две недели (исполняется сегодня) живёт по новому ГОСТу 31167-2009. С чем вас и поздравляю. Хотя хрен редьки не слаще. http://www.standards.ru/document/4576023.aspxЭто что ж ты предлагаешь нам его купить что ли? Это не по-нашему
|
|
|
|
|
|
|
|
14.3.2011, 20:45
|
Группа: Участники форума
Сообщений: 353
Регистрация: 13.2.2011
Пользователь №: 94104

|
Цитата(gedeon @ 14.3.2011, 19:41)  Это что ж ты предлагаешь нам его купить что ли? Это не по-нашему  Я тебе его выслал в подарок
|
|
|
|
|
|
|
|
15.3.2011, 3:13
|
Группа: Участники форума
Сообщений: 518
Регистрация: 29.4.2010
Из: Россия
Пользователь №: 54687

|
Вспомнил анекдот: Лежит раненый солдат и в муках просит своего товарища -"Иван, ты бы хоть дострелил бы меня что ли, чтоб я не мучился" -"Да, как же я тебя дострелю"-отвечает тот,-"у меня же патронов нету" -"Так у меня есть"-стонет раненый. -"ну, дак давай-дострелю" -"Ага"-, отвечает тот,"Давай!?, ....ты у меня купииии" А вообще то-дурдом. Государство разработало стандарт, а кто то из под полы им торгует
|
|
|
|
|
|
|
|
15.3.2011, 7:40
|
Группа: Участники форума
Сообщений: 288
Регистрация: 8.9.2010
Из: СПб
Пользователь №: 71253

|
Андрей еще раз спасибо. А Азербайджан, похоже, не такое бедное государство, раз может себе позволить ГОСТы за так раздавать Действительно обидно.
|
|
|
|
|
|
|
|
15.3.2011, 8:39
|
Группа: Участники форума
Сообщений: 353
Регистрация: 13.2.2011
Пользователь №: 94104

|
Цитата(gedeon @ 15.3.2011, 6:40)  Андрей еще раз спасибо. А Азербайджан, похоже, не такое бедное государство, раз может себе позволить ГОСТы за так раздавать Действительно обидно. Согласен, но добавлю. ГОСТы и многие нормативные документы продаются во многих странах (для студентов - скидки). Наверное, их приравняли к профессиональному инструменту, на создание которого потрачены силы. В этом своя логика есть, но платить никому не хочется. Другое дело - качество документа и возможность его применения в жизни. Если кто-нибудь сравнит две редакции (2003 и 2009 года), то будет удивлён точности копирования. По-прежнему описывается устройство с деревянной рамой и аналоговыми манометрами. Ни слова об автоматическом тесте и программном обеспечении. Более того, как и раньше, ГОСТ действует на помещения до 500 куб.м., оставив за бортом счастливых обладателей малоэтажной, зачастую дырявой, недвижимости. Ну как докажешь, что тебе плохо построили? Нет ГОСТа - нет проблемы.
|
|
|
|
|
|
|
|
15.3.2011, 10:11
|
Группа: New
Сообщений: 16
Регистрация: 14.3.2011
Пользователь №: 98317

|
Цитата(инж323 @ 15.3.2011, 4:21)  Азербайджан не делает из него секретов. Он у них так же принят и доступен. http://arxkom.gov.az/files/uploader/ГОСТ%2031167-2009.pdfcпасибо за ссылочку! вот уж действительно, документ из Хрущёвской эпохи
|
|
|
|
|
|
|
|
15.3.2011, 10:38
|
Группа: New
Сообщений: 16
Регистрация: 14.3.2011
Пользователь №: 98317

|
Цитата(катаев @ 15.3.2011, 9:28)  Это про оттепель? или чего другое? Например, запрет в глаза дым не пускать. Говорят обкуривать людей в европе запретили, осталось - окуривание, серой и т.п. Номер стенда не скажите, чтобы вопросы задать. Вы хотите об этом поговорить?
|
|
|
|
|
|
|
|
15.3.2011, 12:49
|
Группа: New
Сообщений: 16
Регистрация: 14.3.2011
Пользователь №: 98317

|
Цитата(катаев @ 15.3.2011, 11:33)  Не о Ваших понятиях Хрущевской эпохи и оценки уровня российских ГОСТов. О дыме в глаза пожалуйста, irbest больше не хочет, да и не может дальше небылицы про дым из под пленки рассказывать. Видимо, ему с Вами просто скучно стало. Вас уже на этом форуме старожилы игнорируют, вот Вы к новичкам и цепляетесь. А насчёт эпох... Время уже не идёт, а летит вперёд, а Вы всё на педальной тяге пытаетесь за паровозом угнаться
|
|
|
|
|
|
|
|
15.3.2011, 13:30
|
Группа: New
Сообщений: 16
Регистрация: 14.3.2011
Пользователь №: 98317

|
Цитата(катаев @ 15.3.2011, 12:08)  зная что им простые вопросы могут задать, на которые давно даны ответы. Ваши слова лишены смысла, и все Ваши опусы полны передёргиваний и противоречий. Прощайте. P.S. спасибо коллегам за ссылку http://www.stove.ru/index.php?lng=0&rs=202 я съэкономил много времени благодаря вам! P.P.S. в Великобритании и Ирландии проверка зданий давлением на соответствие воздухопроницаемости строительным нормам обязательно. пруф здесь: http://www.hrsservices.co.uk/pages/airtigh..._definition.htmпальцем тыкать в буквы не буду, не в школе. Если Вам это было интересно, найдёте сами.
|
|
|
|
|
|
|
|
15.3.2011, 15:53
|
Группа: Участники форума
Сообщений: 353
Регистрация: 13.2.2011
Пользователь №: 94104

|
Цитата(baromega @ 15.3.2011, 14:17)  Удалено как носящее рекламный характер Жестоко Вы так с Катаевым
Сообщение отредактировал EJIEHA - 15.3.2011, 16:53
|
|
|
|
|
|
|
Гость_baromega_*
|
15.3.2011, 17:30
|
Guest Forum

|
Почему удалена моя запись?!? Складывается впечатление, что участникам форума хочется побольше поговорить о чем-то, а не провести реальные измерения. Тема топика "Методика замера воздухопроницаемости, Как? Чем?", вот и есть чем и как. Могу много рассказать как мы пришли к использованию зарубежной установки и как сложно собрать такие установки в РФ и потом ими работать. Если интресно пишите *****@list.ru.Мы продаем полностью автоматизированные установки, учим как на них работать и , конечно, проводим измерения.
Сообщение отредактировал Gemini - 15.3.2011, 18:17
Причина редактирования: вся контактная информация размещается в профиле
|
|
|
|
|
|
|
  |
1 чел. читают эту тему (гостей: 1, скрытых пользователей: 0)
Пользователей: 0
|
|
Реклама
ООО «Арктика групп» ИНН: 7713634274
Реклама: ООО «СибСтронг» | ИНН 6670013662 | ERID: 2VtzqvdgiCU
ООО «УНИСПЛИТ» ИНН: 6453155081 erid:2VtzqwGt2gw
Реклама: ООО «СЛ-ЛАЗЕР» ИНН 7727447267 | erid: 2VtzqvY3G2W
Реклама: ООО «НовоКС» | ИНН 6330071530 | erid: 2VtzqwMVijq
Последние сообщения Форума
|