Цитата(tpa2009 @ 7.3.2011, 9:45)

Я как раз про это и писал. Разница 20 мК. При крайне зажатой шкале с разницей в мин/мах в 1°С это будет 2%. Чисто физически на экране тепловизора такую разницу между оттенками увидеть нельзя, я это сейчас даже проверил, загрузив пару снимков, где был грунт около зданий. Может быть у кого то и есть острое художественное зрения для различия этих оттенков,
но не у меня

. А зачем тогда эта чувствительность, если ее нельзя увидеть?
Да, кстати, у того же ИРТИСА "Погрешность измерения абсолютных температур по АЧТ по всему полю зрения ±1% или ±1°С от измеряемого диапазона". То есть это намного больше 20 мК. Получается, что чувстительность матрицы смазывается общей точностью прибора? Или я что-то не так в этой пирометрии понимаю?
Вся проблема именно в том, что я, как уже ранее писал, не знаю каким образом определяется указываемая в паспорте пороговая чувствительность в 0,02С и что под ней подразумевается. По Ллойду этот параметр определяется именно экспертно и вероятностно, глазами, с использованием специальных тестобъектов (как правило - прямоугольная, равномерно нагретая мира с геометрическими размерами в несколько раз превосходящими размеры единичного ФП, на равномерно нагретом фоне. Исходная позиция - мира и фон с одинаковой температурой. Миру нагревают/охлаждают до тех пор, пока большинство операторов уверенно не определят ее наличие, форму и местоположение на экране. Так серия экспериментов. Я лично участвовал в подобных экспериментах). Но это было в 2002-2004г.г. Позже, отсутствие всякой информации о способе (методе) получение указываемой в паспорте темп.чувствителности позволяло многим производителям спекулировать на этой величине. Есть параметр "минимальная обнаруживаемая разность температур" - это глазами. Это про то, что "Чисто физически на экране тепловизора такую разницу между оттенками увидеть нельзя". Есть параметр - "разность температур, эквивалентная шуму" - это электрически на выходе усилителя ФП, то, что глазами точно не увидеть. Параметры существенно разные.
Все же понимают, что указываемая в паспорте производительность процессора компьютера не используется для решения конкретной задачи на 100%, существуют второстепенные задачи, которые комп.должен решать всегда. Однако все, сейчас, даже дети, знают, что комп. с частотой 5 ГГц производительней, нежели с частотой 2 ГГц (при прочих равных условиях). Тоже и в тепловизорах.
Моя преподавательница по экономике в институте любила повторять при постановке условий задач: "при прочих равных условиях". То о чем я писал также подходит под это выражение.
Если вы хотите конкретных примеров по раннему обнаружению конкретных дефектов, то их нет у меня. Думаю, для это необходимо наблюдать дефект от самого момента его зарождения и до развития. Обычно это не практикуется. Обычно дефект обнаруживается уже на этапе его развития, когда он вполне уверенно обнаруживается. Но уверен, что двумя тепловизорами с разной чувствительностью один и тот же дефект обнаружит ранее именно тот, у которого темп. чувствительность выше (при прочих равных условиях).
Было утверждение, что в реальной картинке
разность температур в 0,02С не различить, думаю различить, но для большинства задач в ней нет практического смысла, с этим я согласен. В большинстве случаев для успешного решения задачи более важен не прибор с его супер характеристиками, а опыт оператора. Хотя есть задачи, где важна именно приборная возможность наиболее раннего обнаружения. Одну из них, если будет интересно, могу описать.
Опять же вернусь к ИРТИСУ, как к охлаждаемому прибору - его чувствительность полезна в купе с однородностью чувствительности по полю изображения. В матричных ИК-приборах эта чувствительность ранее вообще была одной из основных проблем, сейчас не очень знаю, но уверен, что в любом случае хуже, нежели в охлаждаемом, сканирующем приборе. Попробуйте снять матричным тепловизором равномерно нагретый низкотемпературный объект, сможете приблизительно оценить влияние неоднородности чувствительности на качество тепловизионного изображения. Это, кстати, один из способов тестирования матрицы при покупке тепловизора.
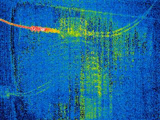
Пример термограммы с 570 флира приведу ниже. Это ТТ-110кВ при темп.атм.воздуха -11С. Виден растр постоянного простр-го шума, обусловленного неоднородностью чувствительности.
Нажмите для просмотра прикрепленного файлаТемп.чувствительность по паспорту <0,1С, относительная величина провалов более 0,5С. Вот такой вот коленкор.
По поводу "Получается, что чувстительность матрицы смазывается общей точностью прибора?" Чувствительность - это возможность обнаружить тонкую неоднородность структуры температурного поля. "Точность прибора" - это способность достоверно измерить радиационную температуру. Тепловизоры хоть и называются измерительными приборами, но абсолютную температуру не измеряют в принципе. Это не градусник.